Przeglądarka IE 11 nie jest wspierana na witrynie. Proszę skorzystać z nowej przeglądarki Edge firmy Microsoft

Referat Prasowy Urzędu Miejskiego w Gdańsku

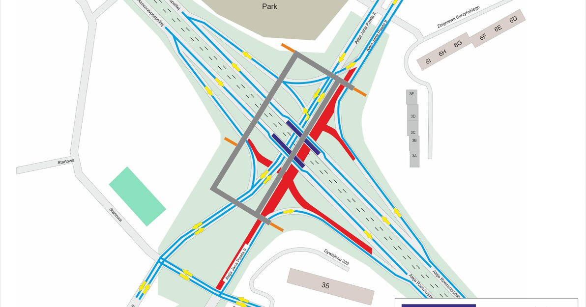
Kładka na Zaspie mapka

Aleksandra Heland
Dyrekcja Rozbudowy Miasta Gdańska

Data publikacji 10:30

Zmiany w organizacji ruchu na Zaspie

W związku z kontynuacją prac rozbiórkowych kładki nad al. Jana Pawła II w Gdańsku, wprowadzone zostaną czasowe zmiany w organizacji ruchu oraz funkcjonowaniu komunikacji miejskiej. Utrudnienia rozpoczną się w nocy z 7 na 8 stycznia i potrwają do 21 stycznia.
Prace realizuje firma Primost Południe w ramach inwestycji polegającej na budowie nowego systemu kładek nad al. Jana Pawła II oraz rozbiórce istniejącej konstrukcji.
Objazdy i zmiany w komunikacji
Przystanki tramwajowe:
Od nocy 7/8 stycznia do środy 21 stycznia tramwaje będą przejeżdżać przez przystanki Jana Pawła II 01 i 02 (na wysokości kładki) bez zatrzymywania się.
Zmiany w ruchu drogowym:
  • W nocy 7/8 stycznia – zamknięcie obu pasów al. Rzeczypospolitej w kierunku Żabianki. Objazd przez nawrotkę w al. Jana Pawła II.
  • W nocy 8/9 stycznia – zamknięcie obu pasów al. Rzeczypospolitej w kierunku Wrzeszcza. Objazd przez al. Jana Pawła II i ul. Dywizjonu 303.
Objazdy dla linii nocnej N1:
  • W nocy 7/8 stycznia oraz od nocy 12/13 stycznia do 20/21 stycznia – w kierunku Osowej PKP:
    Od przystanku „Legionów” (n/ż) 03 do „Kołobrzeska” (n/ż) 04 autobusy pojadą ulicami: al. Legionów – Hynka – al. Rzeczypospolitej – dalej po stałej trasie.
    Przystanki „Żwirki i Wigury” (n/ż) 03 oraz „Startowa” (n/ż) 03 nie będą obsługiwane. Zastępczo obsługiwane będą: „Rozstaje” (n/ż) 05, „Skarżyńskiego” (n/ż) 01, „Zaspa SKM” (n/ż) 01 oraz „Hynka” (n/ż) 01.
  • W nocy 8/9 stycznia – w kierunku Jaworzniaków:
    Od przystanku „Startowa” (n/ż) 04 do „Bajana” (n/ż) 03 autobusy pojadą ulicami: al. Rzeczypospolitej – al. Jana Pawła II – al. Rzeczypospolitej – dalej po stałej trasie.

fot. www.gdansk.pl